مكسيكو: أعلنت السلطات الأحد مصرع شاب إسباني وفقدان أثر امرأة في المكسيك بعد مرور الإعصار نورا الذي تراجعت حدته ليتحول عاصفة استوائية.
وقال إنريكي ألفارو، حاكم ولاية خاليسكو (غرب) في بيان، إن شابا فُقد أثره في انهيار فندق بمنتجع بويرتو فالارتا، "عثر عليه ميتا".
من جهتها قالت وحدة الحماية المدنية إن "امرأة فُقِد أثرها وانجرفت بسيارتها عندما فاض نهرا كوال وإل بيتيال".
وقال مركز الأعاصير الأميركي إن الإعصار نورا الذي تراجع ليصبح عصافة استوائية ما زال يتحرك "إلى الشمال الغربي بالقرب من ساحل وسط المكسيك الغربي"، ما يتسبب في "أمطار غزيرة وفيضانات".
وتقدم الاعصار نورا الأحد على امتداد السواحل المكسيكية المطلة على المحيط الهادئ بعدما ضرب ليلا ولاية خاليسكو المكسيكية مخلفا أضرارا جسيمة، على ما أفاد مركز الأعاصير الأميركي.
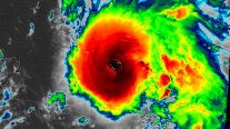
وكانت عين الإعصار وهو كان من الفئة 1 على مقياس سافير-سمبسون المؤلف من 5 فئات عند الساعة 15,00 بتوقيت غرينتش الأحد على بعد عشرة كيلومترات شمال ماساتلان في ولاية سينالوا وعلى بعد 360 كيلومترا من ولاية باخا كاليفورنيا بحسب المصدر نفسه.
وأوضح مركز الأعاصير الأميركي أن نورا "بات على مسافة قريبة جدا من ساحل وسط المكسيك الغربي".
17 كيلومتراً في الساعة
وأضاف أن الاعصار يترافق مع "أمطار غزيرة وفيضانات" ويتقدم بسرعة 17 كيلومترا في الساعة مع رياح سرعتها 120 كيلومترا في الساعة باتجاه الشمال والشمال الغربي.
وكان الإعصار ضرب اليابسة منتصف الليل بتوقيت غرينتش في توماتلان في ولاية خاليسكو قبل أن يواصل تقدمه باتجاه ناياريت.
وألحق الاعصار أضرارا خلال الليل في خاليسكو خصوصا في سيواتلان فيما أوضحت السلطات الأحد أن "فيضان نهر إل بيدريغال في سان بارتيسيو وميلاكه إي فيا اوبريغون طاول حوالى 500 منزل".
وكانت سلطات ولاية خاليسكو دعت السكان إلى ملازمة المنازل فيما أغلق مطار بويرتو فايارتا منذ بعد ظهر السبت.
وقد اقيم 15 ملجأ ونشر مسعفون لمساعدة السكان.
وقال المركز الأميركي إن الإعصار سيواصل تقدمه "بموازاة الساحل المكسيكي" من دون أن يستبعد أن يغير مساره باتجاه المناطق الداخلية لتتشتت قوته عندها.
وقبل أسبوع ضرب الإعصار غريس من فئة 3 المكسيك في ولاية فيراكروس في شرق البلاد.
وأسفر مرور الإعصار غريس عن سقوط 11 قتيلا في هذه الولاية وولاية بويبلا في وسط البلاد. وسجلت أضرار مادية في وسط البلاد وشرقها مع اقتلاع الرياح للأسقف وتضرر طرق وانقطاع التيار الكهربائي.
وضرب الإعصار غريس المكسيك مرتين، الأولى على الساحل المطل على البحر الكاريبي من دون أن يسفر عن ضحايا او أضرار تذكر، والثانية بعد يومين على ذلك بعدما أصبح إعصارا من الفئة 3 عندما ضرب ولاية فيراكروس مع رياح وصلت سرعتها إلى 205 كيلومترات في الساعة قبل أن تتراجع حدته ويبتعد الأحد باتجاه المحيط الهادئ.




















التعليقات